近日,我校生命科学学院曹成全教授在《ZOOTAXA》(SCI收录期刊)成功发表题为《A new species of the genus Xya Latreille, 1809 (Orthoptera, Tridactyloidea, Tridactylidae) from Sichuan, China》 (2017,4247 (2): 185–188)的论文,正式宣告我校师生发现了中国蚤蝼第一个新种——乐山蚤蝼Xya leshanensis,标志着我国蚤蝼分类的新开端,在国际学术界引起了轰动。
掀开中国蚤蝼研究新篇章
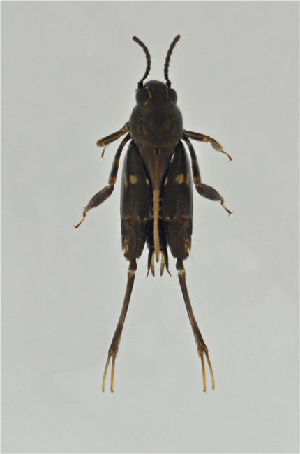
蚤蝼总科 (Tridactylidae)是直翅目非特殊的一类昆虫,几乎遍布世界各地,体型小,善跳跃,不易发现和采集,加上对农作物的危害不大,没有引起人们的重视,致使蚤蝼成为中国直翅目昆虫中唯一一个没有被研究的类群,世界上从事蚤蝼分类的研究的专家不超过10人,而在中国,蚤蝼总科的研究基本是空白。
2009年5月,曹成全像以往一样在乌尤寺附近“扫虫”,无意中在捕虫网中发现了一种他从未见过的黑色的只有几毫米的虫子,直觉告诉他:这就是蚤蝼!他立刻把虫子装好,带回了学校。时值“5.12”大地震一周年纪念日,曹成全在地震之后就十分关注仿生机器人的动态,他想着蚤蝼体型小又灵活,能不能做出类似的用来探测生命的机器人呢?于是,第二天他就与在吉林大学研究仿生机械的教授联系,推荐了蚤蝼这个生物。几个月后,吉林大学派人来我校洽谈蚤蝼仿生机器人事宜。然而,因为研究蚤蝼的资料少之又少,这个项目只好暂时搁浅,但这一搁浅,就不知何时才能重提,曹成全一咬牙:“既然中国还没人研究蚤蝼,那么我就要做这第一人。”从此,他便开始了蚤蝼的研究。这一研究,就是8年!
探索蚤蝼的足迹遍布国内外
一个研究新领域的开创并不是一件简单的事,如何采集到蚤蝼?如何证明中国的蚤蝼和其他国家发现的不同?这些都是曹成全要着力解决的问题。
自2009年以来,曹成全探索蚤蝼的脚步便从未停止。蚤蝼身长仅有4-5mm,但却能跳将近一米高,采集标本得 “碰运气”。有一次,实验室一学生在采集其他物种标本时,刚好一只蚤蝼从眼前跳过,她立刻放下手中采集到一半的标本,转而去抓这只“幸运”的蚤蝼,抓住后,小心放入采集容器中。“有时我们特地去采集却什么发现也没有,蚤蝼是可遇而不可求。”蚤蝼实验室组长张雪说到,他们几乎每周都会去特定地点采集标本,有时能采集到不少,但也会落空而返。为了能够更有效的捕捉蚤蝼,为实验提供大量的标本,张雪和胡瑜琳在曹成全的鼓励下,设计了专门捕捉蚤蝼的工具,并已有两项成功申请了专利。
曹成全采集蚤蝼标本的脚步遍布乐山、峨眉、广西、海南……目前已经采集了近十个省千余份蚤蝼标本。2014年6月,曹成全带领胡瑜琳去往广西采集蚤蝼标本,刚出门就下起了雨,但他们仍冒雨坚持在河中采集。不到半个小时,河水从小腿肚子的地方就涨到了近一米深,身材瘦小的胡瑜琳被突如其来的山洪冲得站不住脚,吓的不知所措,情急之下连忙抱住曹成全的胳臂,曹成全死死拽着胡瑜琳,才避免了危险,“当时我真的太害怕了,还好曹教授拽着我没被冲走。”回想起来,胡瑜琳又害怕又感激。曹成全被冲走了一只鞋,但他手中的标本却完好无损。事后回宾馆路上,曹成全随手在路边捡了只破鞋穿上,学生看到笑个不停,但是他却笑笑说:“这没关系,人在虫在就好!”
今年四月初,曹成全刚从海南采集蚤蝼标本回来。采集过程中,他经常是坐在当地村民的小摩托上,随意看到一处觉得可能有蚤蝼生长的地方就下车去抓,完全不顾是否有危险,采集标本十分专心,心里和眼里除了标本便再也装不下其他事物了,有时连蚂蟥钻进皮肤都浑然不觉,不以为然:“干我们这行常常在野外,是比起一般的科研要辛苦,我都司空见惯啦。”
搜集足够的标本是基本条件,但要进行下一步分类研究必须要充足的资料。曹成全在2010年开始多次自费出国搜集蚤蝼相关资料,期间他在美国和日本获得了大量资料,并获得了京都大学提供的日本所有的蚤蝼标本,这对他的蚤蝼研究起到了直接性地推动。
“乐山蚤蝼”填补我国蚤蝼研究空白
经过多年的努力,曹成全的蚤蝼工作渐渐显山露水。2016年5月,曹成全在最后确定发现蚤蝼新种时,他的博导—已八十有余的中国科学院院士、中国蝗虫分类系统建立者印象初教授,特地来我校查看蚤蝼研究情况。老师的到来给了曹成全一颗定心丸。这些工作引起了美国学术界的关注,同年9月,美国伊利诺伊大学香槟分校(University of Illinois at Urbana-Champaign)昆虫系的在读博士研究生娜塔莉(Nathalie Baena-Bejarano)到我校,跟随曹成全进行了为期近两个月的关于蚤蝼总科昆虫分类的研究。伊利诺伊大学香槟分校著名昆虫学家Sam Heads教授在多次交流访问的基础上,Sam Heads教授和曹成全达成了联合培养蚤蝼分类研究博士生的合作意向。伊利诺伊大学香槟分校是一所享有世界声望的一流研究型大学,是美国公立常春藤,其昆虫学科多次位列美国第一。此前,陕西师范大学生科学院教授也与他达成联合培养意向,而此次合作是我校首次与国外著名高校联合进行博士研究生培养,大大推动了我校的学科建设和学术影响力。
目前,曹成全初步断定发现蚤蝼新种10个以上,他将在乐山绿心公园和学校新区篮球场附近发现的蚤蝼作为发现的第一个新种,将其命名为“乐山蚤蝼”。“乐山蚤蝼”在国际学术界引起了巨大轰动——这是第一个中国人发现的蚤蝼新种,也是首个在中国发现的蚤蝼新种。“乐山蚤蝼”不仅为蚤蝼科增添了一位新成员,也为发现和研究同科昆虫提供了范例和方向。更难能可贵的是,开启了中国研究蚤蝼的第一篇章。自此,我国蚤蝼研究实现了零突破。
2009年到2017年,八年光阴,曹成全教授从零开始,在无任何经济资助下,一路探索,足迹遍布大江南北,汗水挥洒乡野田间,用他坚持不懈的毅力克服一个又一个困难,填补了我国蚤蝼研究的空白,为生物多样性研究添了浓墨重彩的一笔。
【人物简介】曹成全,博士,教授,生命科学学院教师。吉首大学特聘教授、硕士生导师、吉首大学中国爬沙虫研究中心主任,西华大学兼职硕士生导师,陕西师范大学和美国伊利诺伊大学香槟分校博士生第二导师、贵州大学硕士生第二导师;担任中国昆虫学会昆虫产业化专业委员会委员、四川省昆虫学学会副理事长、四川省动物学会理事等职。主要从事资源昆虫学研究,特别是在爬沙虫、萤火虫的养殖和开发利用等方面做出了较大成绩,并被中央电视台“科技苑”等栏目多次专题报道;共主持包括国家自然科学基金青年项目在内的各类项目20余项,在《Zootaxa》等刊物上发表论文40余篇,获得各类专利30余项,出版《中国草原害虫图鉴》等专著4部,获得乐山市科技进步二等奖一项;多次访问美国和日本,保持与多个国家科学家的学术交流合作。



